お気に入り追加する

※新築戸建【館山市館山】『海』のある生活・・・スーパーも海もすぐそこ!リゾート気分で暮らす毎日 1号棟

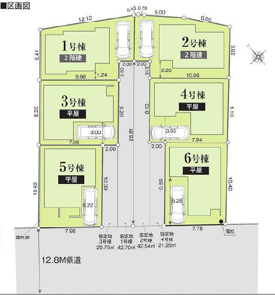
◆全6棟新築分譲地 ◆全棟1台駐車可能 ◆平屋4棟
◆断熱等級6 ◆設計住宅性能評価付 ◆建設住宅性能評価付
価格
2,390万円
新築戸建
間取
3LDK

所在地 千葉県館山市館山1534-1
交通 JR内房線館山駅 徒歩15分
初めての住宅購入もお住み替えも
(有)ニューカワトウ不動産へ是非一度ご相談下さい。
お住まい購入に向けての質問・疑問。具体的に何を準備をして進めたらいいのか?何でも質問して下さい。
一日の中で多くの時間を過すことになるリビングダイニングだからこそ、いつも穏やかな空間であることが必然。爽やかな通風と採光を存分に感じる事が出来る空間です。
広々としたLDK。スマートで無駄なく高いデザイン性、空間を生かした機能性がそろったこだわり設計。物件の魅力は新築の「新しさ」だけではありません。素敵な暮らしができるよう考えられた住宅です。
『LDKは家族だんらんをデザイン』広いLDKでは家族が集まり、一緒の時間がすごせる工夫がされております。日常の当たり前のひとコマがいつか一生の宝物になります。
一日の中で多くの時間を過すことになるリビングダイニングだからこそ、いつも穏やかな空間であることが必然。爽やかな通風と採光を存分に感じる事が出来る空間です。
明るく開放的な空間が広がるリビングダイニング。室内には豊かな陽光が注ぎ込み、爽やかな住空間を演出。ホームパーティーでもゲストと一緒に料理を楽しみながら楽しい時間を過ごせそう。
「立ち上がり」が広くとられたキッチン。作業スペースの確保からお料理の受け渡しまでらくらくです。お料理のできる過程がリビングからも分かり、食器準備やお片付けもご家族でみんなでできます。
物件の陽当りや通風、周辺環境や街並みなど、資料には掲載していない情報を是非現地でご確認下さい。
今日も、明日も、この街で、きっと誰かが幸せになる物語が描かれていくはずです。

物件概要

築年月 2025/08 新築/中古 新築・未入居
面積 81.55m² 計測方式
バルコニー 向き
建物階数 地上2階  部屋階数
建物構造 木造
敷地全体面積 125,04m² 延べ床面積
間取内容 LDK14.8畳 1階   洋室7.6畳 2階   洋室4.5畳 2階   洋室4.5畳 2階   
駐車場 取引態様 仲介
引渡/入居時期 相談 現況 空家
地目 雑種地 用途地域 第一種住居
都市計画 非線引き区域 地勢 平坦
土地面積 125.04m² 土地面積計測方式
セットバック セットバック量
建ぺい率 60% 容積率 200%
土地権利 接道状況 一方
接道方向1 接道間口1 12.8m
周辺環境 館山小学校1000m 館山中学校560m
・おどや100m ・新井海水浴場270m ・渚の駅たてやま350m ・セブンイレブン700m ・館山市役所1900m ・イオン館山店2200m
設備・条件 ガスコンロ 三口コンロ システムキッチン カウンターキッチン 給湯 追い焚き 独立洗面台 バス専用 シャワー バス・トイレ別 温水洗浄便座 床下収納 室内洗濯機置き場 洗濯機置き場有 都市ガス 公営水道 駐車場有 バイク置き場 バルコニー フローリング 住宅性能評価書 ※網戸・カーテン・照明・TVアンテナ等は、オプションとなります。
物件番号 館山市館山1号棟 戸建て2,390万円
自社物 先物 状態 売出中

毎日(年末年始を除く)物件ご見学が可能です。

※曜日・時間帯問わず柔軟に対応させて頂きます。
※物件によっては当日のご見学希望にお応えできない場合がございます。
お早めにご予約をお願い致します。

洗面台には三面鏡タイプを採用。身だしなみを整えやすい事はもちろんですが、鏡の後ろに収納スペースを設ける事により、散らかりやすい洗面スペースをすっきりさせる事が出来るのも嬉しいですね。(内装)『一日の疲れを落としてくれる場所は、一番落ち着く場所でなければならない』  高級感溢れるカラーと大きさで構成された半身浴も楽しめるバスタブが日々の疲れを癒し、心地よさをもたらします。(風呂)癒しの空間バスルームです。天気に左右されずに洗濯物を乾かせる、浴室乾燥機&オートバス機能付きです。一日の疲れをお風呂で癒してください。(風呂)トイレはウォシュレット機能付きの最新タイプ。来客やご友人も使うので、いつも清潔を保てるように配慮しなければならない場所。見た目から清潔感あるホワイトを基調にデザインされました。(内装)2階ホールに手洗い器もあります!(内装)心と体をゆったりと安らげる空間。寝室のゆとりが大きい分だけ、暮らしの安らぎは深まります。一日の疲れを癒すだけでなく、ご夫婦の親密な語らいを紡ぎ出します。(内装)各居室にはクローゼットを完備し、家具の配置にも困らない設計がされています。採光と通風のバランスがほどよく絶妙です。(内装)趣味を楽しんだり、お子様と遊んだりと様々な用途に合わせて使うことができる洋室です。お部屋自体もとっても明るいのは魅力的な点の一つですね!(内装)楽々片付けができる収納スペース。ご家族の洋服やお荷物などがスッキリと片付き、日々の空間を広々と演出してくれる手助けになりますね♪(内装)お子様と遊んだりと様々な用途に合わせて使うことができる洋室です。日当たり良好な居室で、風通しも良好です。(内装)明るいお部屋はゲストのおもてなしの空間にも変化しますよ!使いやすいようにアレンジも〇(内装)頬をなでる優しい風を感じることが出来るバルコニー。つい深呼吸をしたくなる気持ちの良い眺望はこのお部屋の自慢です。洗濯物を干すスペースとしても十分な広さがあります。(内装)手元の収納から、足元の収納までが全てスライド式で、奥のスペースまで有効に活用できます。奥まで上から見渡せるので、たまにしか使わない調理器具もサッと取出せます。(キッチン)コンロで料理も捗りますね。広々としたシンクで、キッチンスペースは、ゆとりの広さを確保!お子様の様子を見守りながら家事ができます!(キッチン)前面道路です。(外観)
※物件掲載内容と現況に相違がある場合は現況を優先と致します。

関連物件

  • ※新築戸建【館山市館山】『海』のある生活・・・スーパーも海もすぐそこ!リゾート気分で暮らす毎日 2号棟※新築戸建【館山市館山】『海』のある生活・・・スーパーも海もすぐそこ!リゾート気分で暮らす毎日 2号棟
    2,390万円
    館山市 館山1534-1
  • ※新築戸建【館山市館山】『海』のある生活・・・スーパーも海もすぐそこ!リゾート気分で暮らす毎日 3号棟※新築戸建【館山市館山】『海』のある生活・・・スーパーも海もすぐそこ!リゾート気分で暮らす毎日 3号棟
    2,090万円
    館山市 館山1534-1
  • ※新築戸建【館山市館山】『海』のある生活・・・スーパーも海もすぐそこ!リゾート気分で暮らす毎日 4号棟※新築戸建【館山市館山】『海』のある生活・・・スーパーも海もすぐそこ!リゾート気分で暮らす毎日 4号棟
    2,090万円
    館山市 館山1534-1
  • ※新築戸建【館山市館山】『海』のある生活・・・スーパーも海もすぐそこ!リゾート気分で暮らす毎日 6号棟※新築戸建【館山市館山】『海』のある生活・・・スーパーも海もすぐそこ!リゾート気分で暮らす毎日 6号棟
    1,890万円
    館山市 館山1534-1
  • ※新築戸建【館山市館山】『海』のある生活・・・スーパーも海もすぐそこ!リゾート気分で暮らす毎日 5号棟※新築戸建【館山市館山】『海』のある生活・・・スーパーも海もすぐそこ!リゾート気分で暮らす毎日 5号棟
    1,990万円
    館山市 館山1534-1

物件お問い合わせ

お名前 (必須)

ふりがな (必須)

会社名

メールアドレス (必須)

電話番号 (必須)

郵便番号

住所

題名

メッセージ本文 (必須)