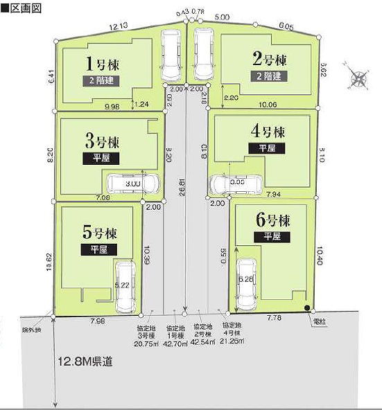
◆全6棟新築分譲地
◆全棟1台駐車可能
◆平屋4棟
◆断熱等級6 ◆設計住宅性能評価付 ◆建設住宅性能評価付
◆断熱等級6 ◆設計住宅性能評価付 ◆建設住宅性能評価付
- 価格
- 2,390万円
- 新築戸建
- 間取
- 3LDK
|
|
| 所在地 | 千葉県館山市館山1534-1 |
|---|---|
| 交通 | JR内房線館山駅 徒歩15分 |
物件概要
| 築年月 | 2025/08 | 新築/中古 | 新築・未入居 |
|---|---|---|---|
| 面積 | 81.14m² | 計測方式 | |
| バルコニー | 向き | ||
| 建物階数 | 地上2階 | 部屋階数 | |
| 建物構造 | 木造 | ||
| 敷地全体面積 | 129.20m² | 延べ床面積 | |
| 間取内容 |
LDK15.7畳 1階 洋室6.0畳 2階 洋室4.5畳 2階 洋室6.0畳 2階 |
||
| 駐車場 | 取引態様 | 仲介 | |
| 引渡/入居時期 | 相談 | 現況 | 空家 |
| 地目 | 雑種地 | 用途地域 | 第一種住居 |
| 都市計画 | 非線引き区域 | 地勢 | 平坦 |
| 土地面積 | 129.20m² | 土地面積計測方式 | |
| セットバック | 無 | セットバック量 | |
| 建ぺい率 | 60% | 容積率 | 200% |
| 土地権利 | 接道状況 | 一方 | |
| 接道方向1 | 南 | 接道間口1 | 2.0m |
| 接道種別1 | 公道 | 接道幅員1 | 12.8m |
| 周辺環境 |
館山小学校1000m 館山中学校560m ・おどや100m ・新井海水浴場270m ・渚の駅たてやま350m ・セブンイレブン700m ・館山市役所1900m ・イオン館山店2200m |
||
| 設備・条件 | ガスコンロ 三口コンロ システムキッチン カウンターキッチン 給湯 追い焚き 独立洗面台 バス専用 シャワー 浴室乾燥機 トイレ専用 バス・トイレ別 温水洗浄便座 床下収納 室内洗濯機置き場 洗濯機置き場有 TVドアホン 都市ガス 公営水道 駐車場有 駐輪場 バイク置き場 バルコニー フローリング 住宅性能評価書 ※網戸・カーテン・照明・TVアンテナ等は、オプションとなります。 | ||
| 物件番号 | 館山市館山2号棟 戸建て2,390万円 | ||
| 自社物 | 先物 | 状態 | |
毎日(年末年始を除く)物件ご見学が可能です。
※曜日・時間帯問わず柔軟に対応させて頂きます。
※物件によっては当日のご見学希望にお応えできない場合がございます。
お早めにご予約をお願い致します。
※物件掲載内容と現況に相違がある場合は現況を優先と致します。






































