お気に入り追加する

※新築戸建【館山市館山】『海』のある生活・・・スーパーも海もすぐそこ!リゾート気分で暮らす毎日 6号棟

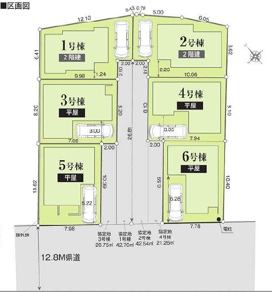
◆全6棟新築分譲地 ◆全棟1台駐車可能 ◆平屋4棟
◆断熱等級6 ◆設計住宅性能評価付 ◆建設住宅性能評価付
価格
1,890万円
新築戸建
間取
1LDK

所在地 千葉県館山市館山1534-1
交通 JR内房線館山駅 徒歩15分
初めての住宅購入もお住み替えも
(有)ニューカワトウ不動産へ是非一度ご相談下さい。
お住まい購入に向けての質問・疑問。具体的に何を準備をして進めたらいいのか?何でも質問して下さい。
一日の中で多くの時間を過すことになるリビングダイニングだからこそ、いつも穏やかな空間であることが必然。爽やかな通風と採光を存分に感じる事が出来る空間です。
明るく開放的な空間が広がるリビングダイニング。室内には豊かな陽光が注ぎ込み、爽やかな住空間を演出。ホームパーティーでもゲストと一緒に料理を楽しみながら楽しい時間を過ごせそう。
広々としたLDK。スマートで無駄なく高いデザイン性、空間を生かした機能性がそろったこだわり設計。物件の魅力は新築の「新しさ」だけではありません。素敵な暮らしができるよう考えられた住宅です。
『LDKは家族だんらんをデザイン』広いLDKでは家族が集まり、一緒の時間がすごせる工夫がされております。日常の当たり前のひとコマがいつか一生の宝物になります。
「立ち上がり」が広くとられたキッチン。作業スペースの確保からお料理の受け渡しまでらくらくです。お料理のできる過程がリビングからも分かり、食器準備やお片付けもご家族でみんなでできます。
『一日の疲れを落としてくれる場所は、一番落ち着く場所でなければならない』  高級感溢れるカラーと大きさで構成された半身浴も楽しめるバスタブが日々の疲れを癒し、心地よさをもたらします。
物件の陽当りや通風、周辺環境や街並みなど、資料には掲載していない情報を是非現地でご確認下さい。
今日も、明日も、この街で、きっと誰かが幸せになる物語が描かれていくはずです。

物件概要

築年月 2025/08 新築/中古 新築・未入居
面積 42.44m² 計測方式
バルコニー 向き
建物階数 部屋階数
建物構造 木造
敷地全体面積 82.44m² 延べ床面積
間取内容 LDK12.1畳 1階   洋室6.2畳 1階   
駐車場 取引態様 仲介
引渡/入居時期 相談 現況 空家
地目 雑種地 用途地域 第一種住居
都市計画 非線引き区域 地勢 平坦
土地面積 82.44m² 土地面積計測方式
セットバック セットバック量
建ぺい率 60% 容積率 200%
土地権利 接道状況 一方
接道方向1 接道間口1 7.78m
接道種別1 公道 接道幅員1 12.8m
周辺環境 館山小学校1000m 館山中学校560m
・おどや100m ・新井海水浴場270m ・渚の駅たてやま350m ・セブンイレブン700m ・館山市役所1900m ・イオン館山店2200m
設備・条件 ガスコンロ 三口コンロ システムキッチン カウンターキッチン 給湯 追い焚き 独立洗面台 バス専用 シャワー 浴室乾燥機 トイレ専用 バス・トイレ別 温水洗浄便座 床下収納 室内洗濯機置き場 洗濯機置き場有 TVドアホン 都市ガス 公営水道 排水下水 駐車場有 駐輪場 バイク置き場 フローリング 住宅性能評価書 ※網戸・カーテン・照明・TVアンテナ等は、オプションとなります。
物件番号 館山市館山6号棟 戸建て1,890万円
自社物 先物 状態

毎日(年末年始を除く)物件ご見学が可能です。

※曜日・時間帯問わず柔軟に対応させて頂きます。
※物件によっては当日のご見学希望にお応えできない場合がございます。
お早めにご予約をお願い致します。

手元の収納から、足元の収納までが全てスライド式で、奥のスペースまで有効に活用できます。奥まで上から見渡せるので、たまにしか使わない調理器具もサッと取出せます。(内装)コンロで料理も捗りますね。広々としたシンクで、キッチンスペースは、ゆとりの広さを確保!お子様の様子を見守りながら家事ができます!(内装)ロフトもあり、充実した収納です!(内装)趣味を楽しんだり、お子様と遊んだりと様々な用途に合わせて使うことができる洋室です。お部屋自体もとっても明るいのは魅力的な点の一つですね!(内装)各居室にはクローゼットを完備し、家具の配置にも困らない設計がされています。採光と通風のバランスがほどよく絶妙です。(内装)洗面台には三面鏡タイプを採用。身だしなみを整えやすい事はもちろんですが、鏡の後ろに収納スペースを設ける事により、散らかりやすい洗面スペースをすっきりさせる事が出来るのも嬉しいですね。(内装)癒しの空間バスルームです。天気に左右されずに洗濯物を乾かせる、浴室乾燥機&オートバス機能付きです。一日の疲れをお風呂で癒してください。(風呂)トイレはウォシュレット機能付きの最新タイプ。来客やご友人も使うので、いつも清潔を保てるように配慮しなければならない場所。見た目から清潔感あるホワイトを基調にデザインされました。(内装)家族全員の靴を収納出来、暖かな日差しが差し込み収納豊富な玄関です。(内装)『ただいま!』『おかえり♪』。新居で交わす家族同士の何気ないやり取りがただ何となく嬉しいんです。自分のお家を手に入れた事の喜びが感じられるお客様からの素敵なエピソードです。(内装)前面道路です。(外観)
※物件掲載内容と現況に相違がある場合は現況を優先と致します。

関連物件

  • ※新築戸建【館山市館山】『海』のある生活・・・スーパーも海もすぐそこ!リゾート気分で暮らす毎日 5号棟※新築戸建【館山市館山】『海』のある生活・・・スーパーも海もすぐそこ!リゾート気分で暮らす毎日 5号棟
    1,990万円
    館山市 館山1534-1
  • ※新築戸建【館山市館山】『海』のある生活・・・スーパーも海もすぐそこ!リゾート気分で暮らす毎日 4号棟※新築戸建【館山市館山】『海』のある生活・・・スーパーも海もすぐそこ!リゾート気分で暮らす毎日 4号棟
    2,090万円
    館山市 館山1534-1
  • ※新築戸建【館山市館山】『海』のある生活・・・スーパーも海もすぐそこ!リゾート気分で暮らす毎日 3号棟※新築戸建【館山市館山】『海』のある生活・・・スーパーも海もすぐそこ!リゾート気分で暮らす毎日 3号棟
    2,090万円
    館山市 館山1534-1
  • ※新築戸建【館山市館山】『海』のある生活・・・スーパーも海もすぐそこ!リゾート気分で暮らす毎日 2号棟※新築戸建【館山市館山】『海』のある生活・・・スーパーも海もすぐそこ!リゾート気分で暮らす毎日 2号棟
    2,390万円
    館山市 館山1534-1
  • ※新築戸建【館山市館山】『海』のある生活・・・スーパーも海もすぐそこ!リゾート気分で暮らす毎日 1号棟※新築戸建【館山市館山】『海』のある生活・・・スーパーも海もすぐそこ!リゾート気分で暮らす毎日 1号棟
    2,390万円
    館山市 館山1534-1

物件お問い合わせ

お名前 (必須)

ふりがな (必須)

会社名

メールアドレス (必須)

電話番号 (必須)

郵便番号

住所

題名

メッセージ本文 (必須)